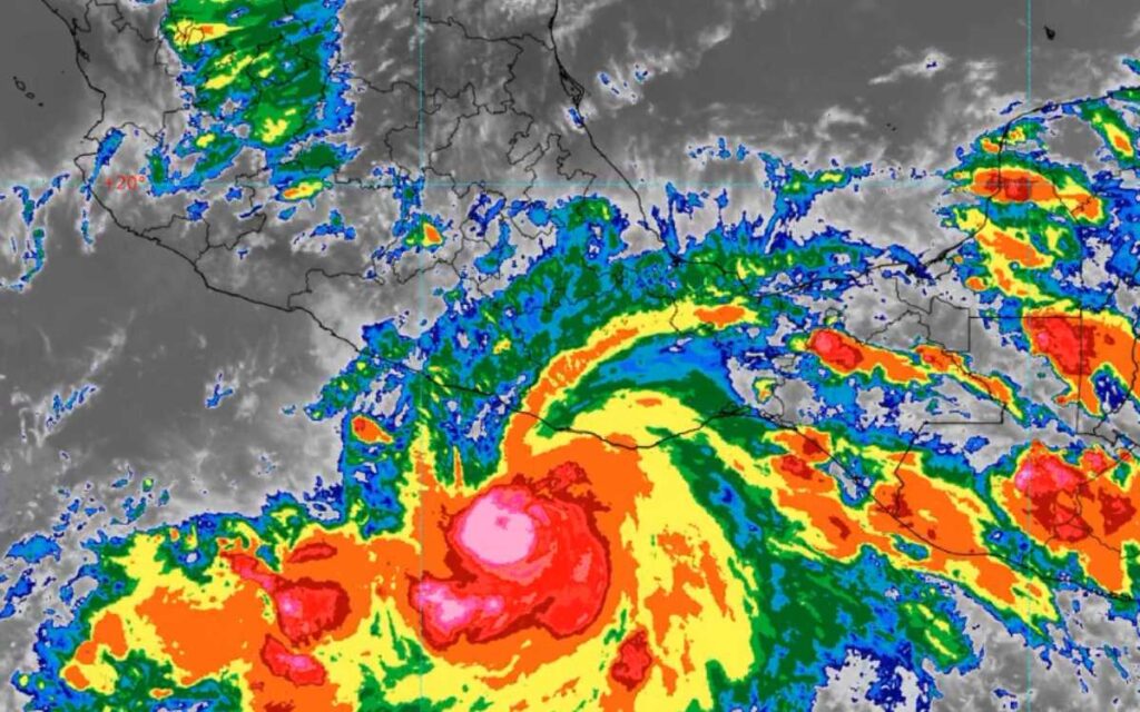
El huracán Agatha de categoría 2, localizado al sur de las costas de Oaxaca y Guerrero, genera lluvias puntuales intensas en Chiapas, Guerrero y Oaxaca.
Las precipitaciones podrían generar deslaves, incremento en los niveles de ríos y arroyos, y desbordamientos e inundaciones en zonas bajas del sur y sureste de México, alertó el Servicio Meteorológico Nacional.
Las autoridades exhortan a la población a atender los avisos del Servicio Meteorológico Nacional, de la Comisión Nacional del Agua, y seguir las indicaciones de las autoridades estatales, municipales y de Protección Civil.
Se prevén lluvias muy fuertes en sitios de Tabasco; así como lluvias fuertes en zonas de Campeche, Quintana Roo, Veracruz y Yucatán.
La intensidad de la lluvia se mide con un pluviómetro, que expresa en milímetros de agua la cantidad que se acumula en una superficie horizontal e impermeable:
-Lluvias puntuales intensas: de 75 a 150 milímetros milímetros
-Lluvias muy fuertes: de 50 a 75 milímetros
-Lluvias fuertes: de 25 a 50 mm.
También, se mantiene el pronóstico de rachas fuertes de viento de 70 a 80 kilómetros por hora y oleaje de 4 a 6 metros en las costas de Guerrero y Oaxaca, y de 2 a 4 metros en el litoral de Chiapas.
A las 19:00 horas, tiempo del centro de México, el huracán Agatha de categoría 2 en la escala Saffir-Simpson, se ubicó aproximadamente a 225 kilómetros al sur- sureste de Punta Maldonado, Guerrero, y a 255 kilómetros al suroeste de Puerto Ángel, Oaxaca.
El huracán se transformó a escala dos esta tarde. Se registraron vientos máximos sostenidos de 175 kilómetros por hora, con rachas de hasta 215 km/h y desplazamiento hacia el noreste a 7 km/h.
