‘Ian’, una de las tormentas más peligrosas que ha golpeado a Estados Unidos en los últimos años, ha dejado a más de 2,4 millones de hogares y negocios bajo el agua en Florida.
Con vientos de hasta 241 km/h, el huracán categoría 4 azotó la costa Este del país el miércoles a las 15:10 horas (tiempo local), posteriormente fue degradado a tormenta tropical. Sin embargo, con su llegada, se vieron escenas dramáticas en donde volaron techos y árboles, mientras casa y autos quedaron sumergidos.
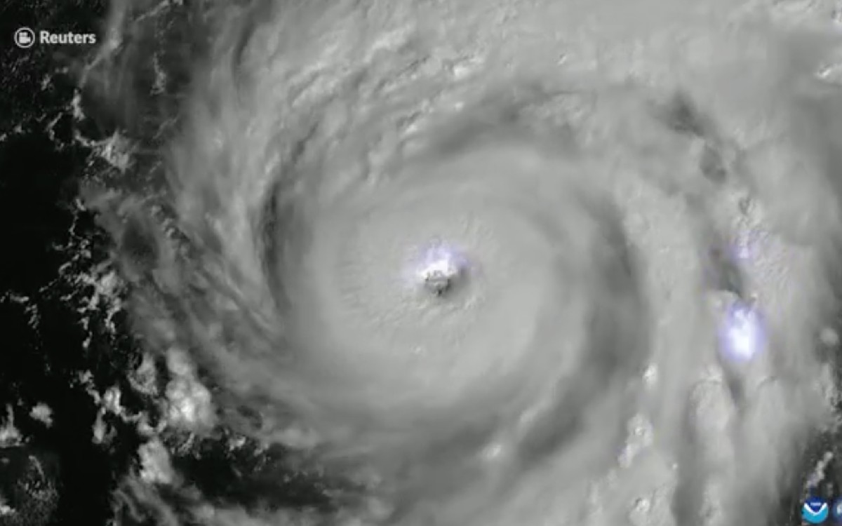
El monstruoso paso de ‘Ian’ también se observó desde el espacio y las imágenes fueron capturadas por el satélite Terra de la NASA.
Your browser doesn’t support iframes
La agencia compartió el video de ‘Ian’, el cual fue filmado el pasado 27 de septiembre mientras el huracán tomaba fuerza y se extendía por las cálidas aguas del Golfo de México, luego de haber azotado Cuba y dejar severos daños en la isla.
En un mensaje publicado en Facebook, el Centro de Predicción Meteorológica les dijo a los residentes de la península de Florida Central que esperaran “inundaciones repentinas y urbanas catastróficas y potencialmente mortales” que continuarían hasta el viernes por la mañana, con hasta 76 cm de lluvia cayendo localmente.
El alcalde de Tampa instó a las personas a refugiarse en el lugar durante la noche hasta el jueves por la mañana.

