-

El personaje favorito de los fans de FBI: International representa el mayor desafío para el reemplazo de Scott Forrester
El regreso de un favorito de los fanáticos FBI: Internacional presentará un desafío para el nuevo líder del Fly Team, Wes Mitchell (Jesse Lee Soffer). El Fly Team es uno de los equipos más pequeños del FBI, y solo los miembros más selectos son elegidos para unirse. La salida de Scott Forrester FBI: Internacional Al…
-

“¿Crees que esta letra en mi cabeza representa a Francia?”: Marvel le da un nuevo significado a la cita más controvertida del Capitán América
Resumen La controvertida cita del Capitán América recibe un nuevo giro en la última película Últimos cómic, con un nuevo significado en el nuevo Universo Ultimate. En el Universo Ultimate actual, la “A” del casco del Capitán América ha perdido su significado, ya que el Consejo de Creadores ha desmantelado los Estados Unidos. La infame…
-

¿Es The Boyfriend el reality show de citas más real? (Cómo el elenco representa situaciones de la vida real)
Resumen The Boyfriend ofrece una autenticidad refrescante con relaciones no forzadas entre hombres, abriendo nuevos caminos en la escena de los programas de citas de Japón. Los miembros del elenco, elegantemente vestidos, crean un ambiente relajado, optando por interacciones realistas en lugar del drama y mostrando vulnerabilidad emocional. Las interacciones amables y afectuosas entre los…
-

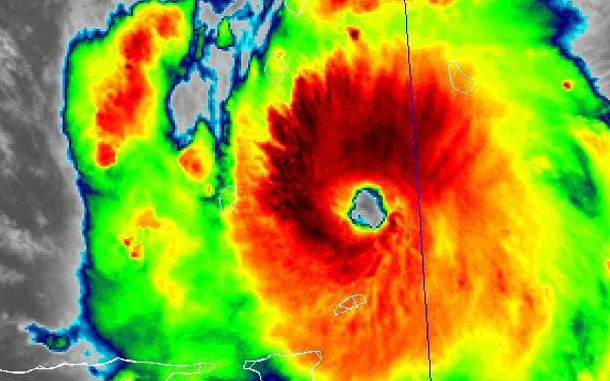
‘Beryl’ regresa a categoría 4; por el momento no representa peligro para México
El huracán Beryl, que se había debilitado más temprano el lunes a la categoría 3, volvió a subir a 4 en una escala de cinco niveles, con vientos máximos sostenidos que superaban los 193 kilómetros por ahora, con algunas ráfagas más fuertes, a unos 180 kilómetros al sureste de Barbados, dijo el Centro Nacional de…
-

“Los estadounidenses sienten que se debe cuestionar la autoridad”: el creador de Beetle Bailey creía que Beetle representa la actitud de Estados Unidos hacia la autoridad
Resumen A pesar de su naturaleza aparentemente simple y directa, la tira cómica estadounidense de larga duración Escarabajo Bailey entregó dosis diarias de humor antiautoridad a los lectores durante décadas, animándolos a cuestionar la autoridad. El humor sutil de Mort Walker en Escarabajo Bailey socavó la jerarquía, utilizando el entorno militar de la tira para…
-

Incluso sin la influencia de Batman, un miembro de la Bat-familia representa perfectamente su misión
Advertencia: ¡Spoilers de Detective Comics #1082! Resumen Cassandra Cain encarna la misión de Batman en Cómics de detectives #1082 – incluso sin la presencia de Batman. La búsqueda de venganza de Cass comenzó antes de unirse a la Bat-Familia, lo que hizo que su conexión con Batman fuera más profunda. Cass es el que más…
-

Demon Slayer: Mugen Train fue un riesgo audaz que representa el futuro de las películas de anime Shonen
Resumen Tren Mugen rompió moldes con su adaptación al canon manga, rompiendo con el formato tradicional de película de relleno. El éxito de la película allanó el camino para que otros estudios produjeran películas canónicas, como Jujutsu Kaisen 0 y El hombre de la motosierra. Los fanáticos tienen la opción de ver el Tren Mugen…
-

Asesino de demonios vs. Jujutsu Kaisen: ¿Qué anime exitoso representa mejor el futuro del Shonen?
Resumen Jujutsu Kaisen proporciona un equilibrio entre los tropos tradicionales y la narración no convencional, lo que la convierte en la mejor representación del futuro del género shonen. Mata demonios r sobresale en la emoción y el crecimiento del carácter, mientras que Jujutsu Kaisen brilla en acción, lucha y ritmo. Jujutsu Kaisen Los héroes y…
-

“Totalmente una meditación sobre el poder”: cada personaje de Watchmen representa un tipo diferente de poder, según Alan Moore
Resumen vigilantes es un ” meditación sobre el poder r”, con cada personaje de superhéroe importante representando una forma diferente de poder, y la serie en general pone en primer plano la pregunta sobre la autoridad y la influencia coercitiva. Con vigilantes Alan Moore pretendía plantear preguntas sobre el poder que otras historias de superhéroes…
-

El NUEVO poder especial de One Piece representa perfectamente los temas de la serie
Advertencia: contiene spoilers del capítulo 1104 de One Piece. Resumen El último capítulo de Una pieza insinúa que los Buccaneers pueden poseer otra habilidad ligada a su historia y sentido de libertad. El uso de Haki por parte de Kuma mientras desafía su programación sugiere que la habilidad especial de la raza Buccaneer podría ser…