-

Ataque de EE.UU. en el Pacífico Oriental deja dos lanchas destruidas y cinco muertos
El Ejército de Estados Unidos destruyó otras dos lanchas, al parecer cargadas con droga, en aguas internacionales del Pacífico Oriental y mató a cinco tripulantes que, según Washington, participaban en “operaciones de narcotráfico”. Los dos ataques “cinéticos letales” tuvieron lugar este jueves bajo las órdenes del secretario de Guerra, Pete Hegseth, dentro de la operación…
-

La leyenda de Zelda: Ecos de la sabiduría – Guía del templo oriental
Enlaces rápidos Dónde encontrar el templo oriental en The Legend of Zelda: Echoes of Wisdom Cómo completar el templo oriental La leyenda de Zelda: Ecos de sabiduría es conocido por algunas cosas, pero su dificultad no es una; sin embargo, la mazmorra del Templo Oriental es la excepción a esto, con encuentros complicados que desafían…
-

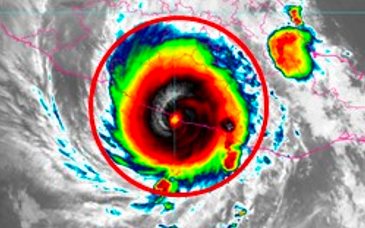
Otis, el huracán más fuerte en la historia del Pacífico oriental: NOAA
Otis fue considerado como el huracán más fuerte registrado en la historia del Pacífico oriental por la Oficina Nacional de Administración Oceánica y Atmosférica (NOAA, por sus siglas en inglés). En una nota informativa la NOAA catalogó al huracán Otis como el “más fuerte del Pacífico oriental que tocó tierra en la era de los…
-

Oxfam Novib y Goodwell apuntan a nuevas empresas de África Oriental con un fondo Pepea de 20 millones de euros
inversor de impacto Inversiones Goodwell y Oxfam Novib, una fundación holandesa y afiliada a Oxfam Internacional, ha creado Pepea, un fondo de 20 millones de euros (21,7 millones de dólares), para proporcionar financiación a nuevas empresas en fase inicial en Kenia, Uganda y Etiopía. El fondo, creado con el respaldo de Oxfam Novib Impact Investments,…
-

Biden promete proteger el flanco oriental de la OTAN; y más | Primeras planas del mundo 23/02/2023
Esto es lo que se destaca en las portadas de los medios internacionales, este jueves 23 de febrero de 2023: La Polonia insular se abre a una oleada de recién llegados Un refugio en tiempos de guerra para 2 millones de ucranianos Biden promete proteger el flanco oriental del bloque La invasión rusa se acerca…
-

Una ciudad oriental bajo ataque se pregunta hasta dónde puede llegar la ofensiva de Ucrania
“Solo esperamos lo mejor”, suspiró, reconociendo que se quedaría, independientemente del bombardeo ruso y el destino de Bakhmut. Su esposo, Serihy, lloró cuando ayudaron a su abuela a subir a la camioneta. En unos días, enviaría a su madre lejos. Su hija, Albina, esperaba que sus padres finalmente accedieran a evacuar también. “Mi padre construyó…
-

El hotel Mandarín Oriental y el Atlético se unen para crear una experiencia inolvidable
El hotel madrileño pone a disposición de los aficionados colchoneros una exclusiva propuesta El lobby del Mandarin Oriental Ritz. Manolo Yllera Mandarin Oriental Ritz junto con el Atlético de Madrid han creado una exclusiva propuesta para los seguidores del club de fútbol, una experiencia inolvidable para disfrutar de uno de los partidos del equipo que estará…
-

Dos semanas de ganancias de millonarios podrían solucionar crisis alimentaria en África Oriental por inflación: Oxfam
Mientras que la inflación de los alimentos en algunos países de África Oriental supera el promedio mundial y ha dejado a millones en situación de hambre, menos de dos semanas de las ganancias de los multimillonarios serían más que suficientes para financiar la crisis alimentaria en dichos países, señaló Oxfam. De acuerdo con la organización,…
-

Nueve países del Este reclaman más presencia militar en el flanco oriental de la OTAN tras la invasión de Ucrania
Los líderes de nueve países de la Europa del Este coincidieron en reivindicar este viernes en Bucarest la necesidad de reforzar militarmente el flanco oriental de la OTAN y, en concreto, el mar Negro, para hacer frente a la intimidación de Rusia, que califican de real tras la invasión de Ucrania. “Es necesario que la…
